Eduardo Ávila/Grupo Marmor
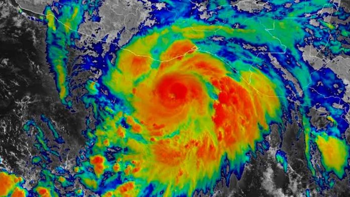
Cómo parte de los daños y afectaciones que ha dejado el paso del huracán Erick por suelo mexicano, este día fueron confirmados dos fallecimientos, uno de ellos menor de edad, así lo informó la Presidenta de la República, Claudia Sheinbaum Pardo.
Desde Palacio Nacional la mandataria detalló esta lamentable pérdida sucedió en el estado de Guerrero, siendo la víctima un pequeño arrastrado por la corriente de un río en el municipio de San Marcos, luego de que su madre intentara cruzar el río.

Por su parte el secretario de Gobierno de Oaxaca, José de Jesús Romero, informó la muerte de una persona en una localidad del municipio de San Pedro Pochutla en la Costa de Oaxaca, el fallecimiento se dio luego de que esta intentara retirar cables de alta tensión al pretender cruzar un arroyo.
Es necesario recordar que el Huracán Erick, tocó tierras mexicanas el día de ayer 19 de junio como categoría 3, causando daños en infraestructura carretera y servicio de luz eléctrica en los mencionados estados.



















