Tag: Clima
Se pronostican lluvias muy fuertes en 13 entidades de México, entre...
Para hoy, se pronostican lluvias puntuales intensas (de 75 a 150 milímetros ) en regiones de Veracruz (sur), Oaxaca (norte y este), Tabasco (centro...
Monzón y calor extremo marcan el clima este lunes
Redacción | Grupo Marmor
Este lunes 14 de julio de 2025, el clima en México presentará un marcado contraste: el monzón mexicano provocará lluvias torrenciales...
Descontrol climático Europa arde, Argentina se congela y la ONU alerta...
Redacción | Grupo Marmor
Mientras Europa se sofoca bajo una intensa ola de calor, con termómetros superando los 40°C en varias regiones, Argentina experimenta un...
Se anticipan lluvias fuertes en Michoacán
Redacción | Grupo Marmor
Para este jueves 3 de julio de 2025, Michoacán se prepara para lluvias intensas, un panorama que se extiende a...
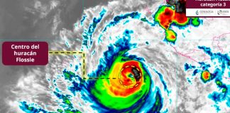
#Seguimiento | De categoría 3 a alerta nacional; los remanentes de...
Redacción | Grupo Marmor
Aunque el huracán Flossie, que alcanzó la categoría 3 en la escala Saffir-Simpson, comienza a debilitarse al oeste de Jalisco, su...
#Actualización | Huracán Flossie, avanza a categoría 2, amenaza con...
Redacción | Grupo Marmor
El huracán Flossie ha intensificado su fuerza a categoría 2, situándose a 245 kilómetros al suroeste de Manzanillo, Colima. La Comisión...
Continuarán lluvias muy fuertes en Michoacán
El pronóstico del tiempo para este viernes es de lluvias torrenciales (de 150 a 250 milímetros ) en San Luis Potosí, Tamaulipas y Veracruz;...
#VIDEO | Alerta máxima; tormenta tropical Erick podría convertirse en huracán...
Redacción | Grupo Marmor
La tormenta tropical "Erick" se ha intensificado y representa una seria amenaza para el sur de México, con pronósticos que indican...
Se forma la depresión tropical Uno-E, al sur de las costas...
A las 15:00 horas, tiempo del centro de México, se formó la depresión tropical Uno-E, al sur de las costas de Guerrero, primer ciclón...
#Clima | Tormenta y frente frío activan alerta climática en gran...
Redacción | Grupo Marmor
Este miércoles 28 de mayo, gran parte del territorio mexicano estará bajo condiciones meteorológicas extremas debido a la inminente formación del ciclón...



























